Poissonnerie
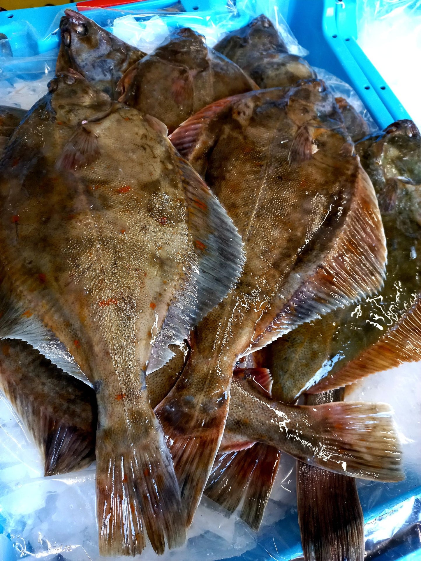
FLET - Platichthys flesus,
FLET - Platichthys flesus,
Impossible de charger la disponibilité du service de retrait
Engin de pêche: Chalut - Filet
Zone de pêche: 27-7
Saisonnalité: Janvier à Décembre
Prestation possible : *PAC
Le flet commun est un poisson plat "sous espèce de carrelet". Comme nous aimons le raconter à notre clientèle, le FLET, c'est un carrelet qui n'a pas attrapé la varicelle ! En réalité, si vous regardez de plus près, vous pourrez constater des petits points semblables à ceux du carrelet, points qui, à l'instar du carrelet, disparaissent à la sortie de l'eau.
Poisson quasi inexistant sur les étals Français, la chair du Flet est pourtant semblable à celle du carrelet et son prix bien plus abordable.
*PAC = PRET A CUIRE
Share


💳 Options de paiement
- Paiement en ligne : lors de votre commande, vous pouvez régler directement via notre plateforme sécurisée.
- Paiement sur place : vous préférez régler à l’atelier ? C’est possible (carte bancaire, espèces, ou autres moyens de paiement acceptés sur place).
👉 Vous choisissez la solution la plus adaptée à vos habitudes !
📦 Retrait Click & Collect
Tous nos produits sont disponibles exclusivement en Click & Collect.
- Simple et rapide : vous commandez en ligne et vous récupérez votre poisson frais directement à l’atelier, au Quai Sadi Carnot, 76400 Fécamp.
- Sans frais de livraison : vous payez uniquement vos produits, aucun supplément.
- Fraîcheur garantie : votre commande est préparée le jour même de son retrait.
- Choix de l’horaire : vous sélectionnez le créneau qui vous convient lors de la commande.
⚠️ Merci de venir chercher vos produits le jour même afin de garantir une fraîcheur optimale.